为控制和引导郑州航空港经济综合实验区第D1-15-05地块的开发建设,河南省城乡规划设计研究总院股份有限公司编制了《郑州航空港经济综合实验区第D1-15-05地块控制性详细规划》,根据《中华人民共和国城乡规划法》、住房和城乡建设部文件《关于城乡规划公开公示的规定》、《郑州市城市规划公示办法》等法律法规的要求,现予以公示:
一、项目名称:郑州航空港经济综合实验区第D1-15-05地块控制性详细规划。
二、编制单位:河南省城乡规划设计研究总院股份有限公司。
三、项目概况:
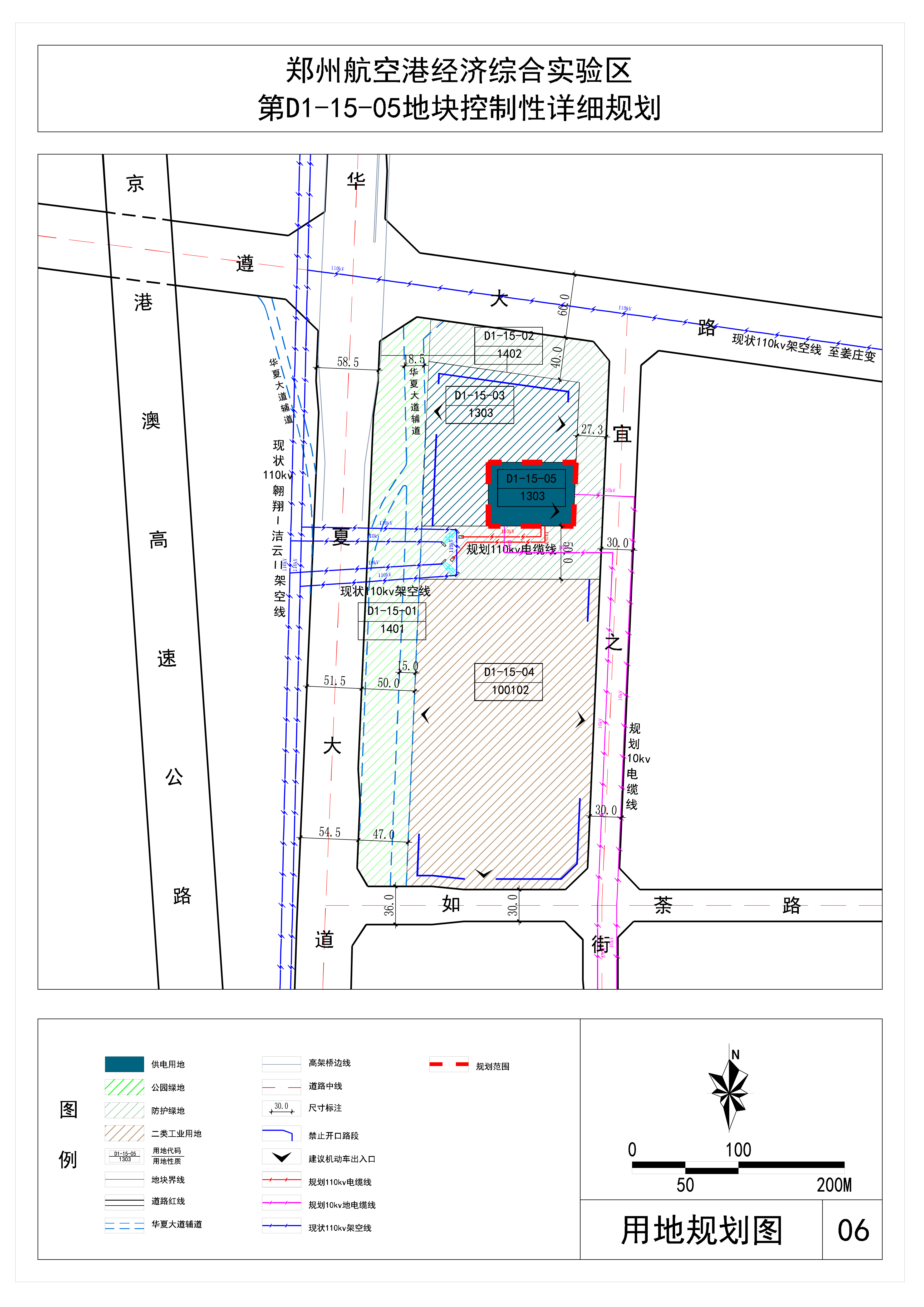
规划范围位于郑州航空港经济综合实验区园博数字创意产业园片区,由华夏大道、遵大路、宜之街、如荼路等城市道路围合部分区域。规划总用地面积为4878平方米。
公示内容: 1、区位图
2、用地现状图
3、用地规划图
4、地块控制指标表
公示期:2025年9月16日至2025年10月15日
联系电话:58551660
郑州航空港经济综合实验区自然资源和规划局
2025年9月16日
公示期已经结束,感谢您的关心和支持!
