郑州航空港经济综合实验区
第D1-15-05地块控制性详细规划批后公告
项目名称: | 郑州航空港经济综合实验区第D1-15-05地块控制性详细规划 |
类型: | 批后公告 |
公示类别: | 控制性详细规划 |
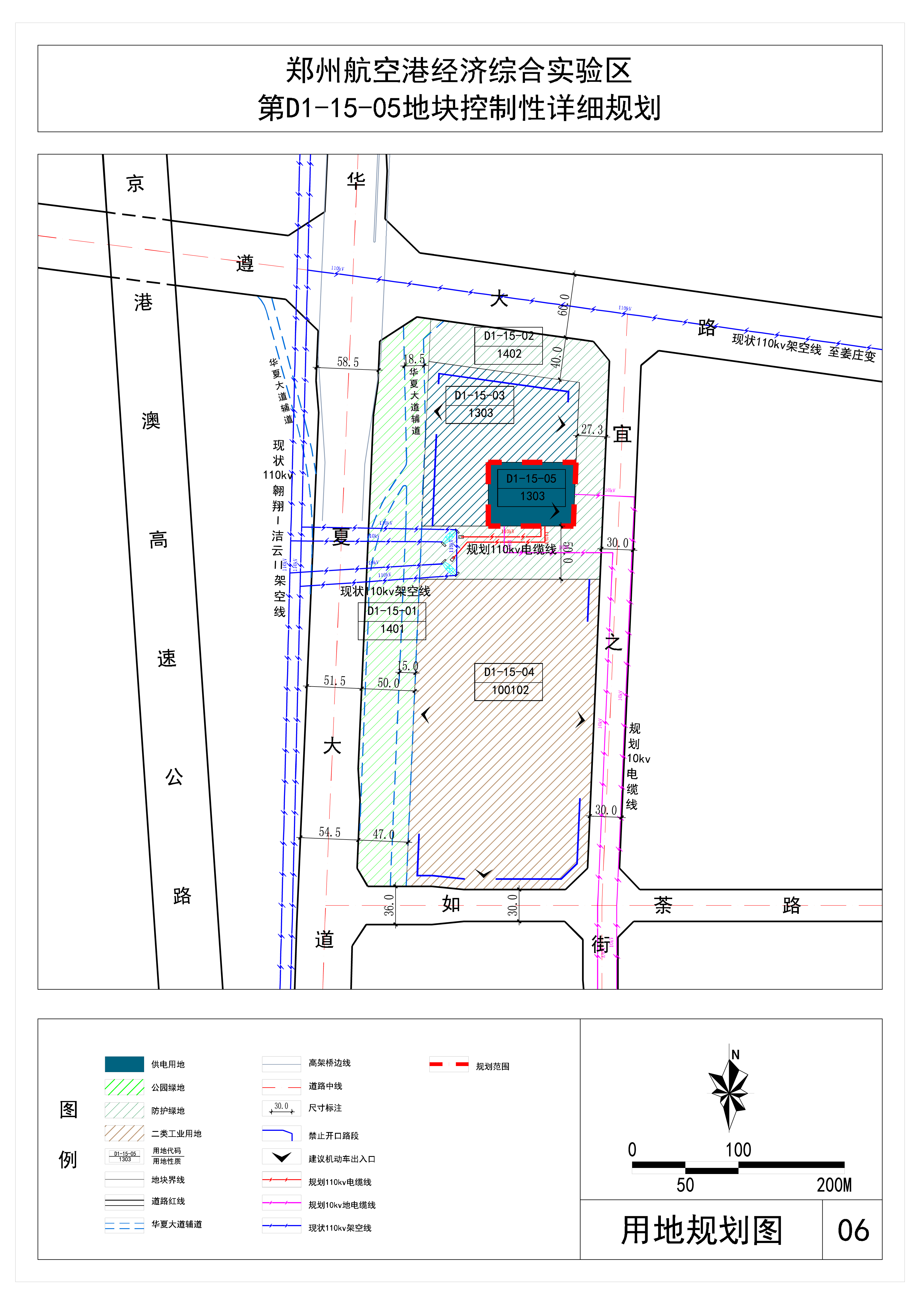
用地位置: | 华夏大道、遵大路、宜之街、如荼路围合区域内部分地块 |
用地面积: | 0.49公顷 |
公示期限: | 30日 |
公告日期: | 2026年3月2日 至 2026年3月31日 |
经办处室单位: | 郑州航空港经济综合实验区自然资源和规划局规划勘测编制中心 |
咨询电话: | 0371-58551660 |
附加说明: | 查询详细内容,请出示身份证明,到我局办理相关手续后查询。依据《中华人民共和国城乡规划法》《中华人民共和国行政许可法》等有关法律法规,特此公告。 |
详细内容: | 区位图,用地现状图,用地规划图,规划图则 用地性质:供电用地(1303) |
批复文号: | 郑港复〔2026〕21号 |
公示期已经结束,感谢您的关心和支持!
